欢迎访问东莞市中堡智能科技有限公司小程序!
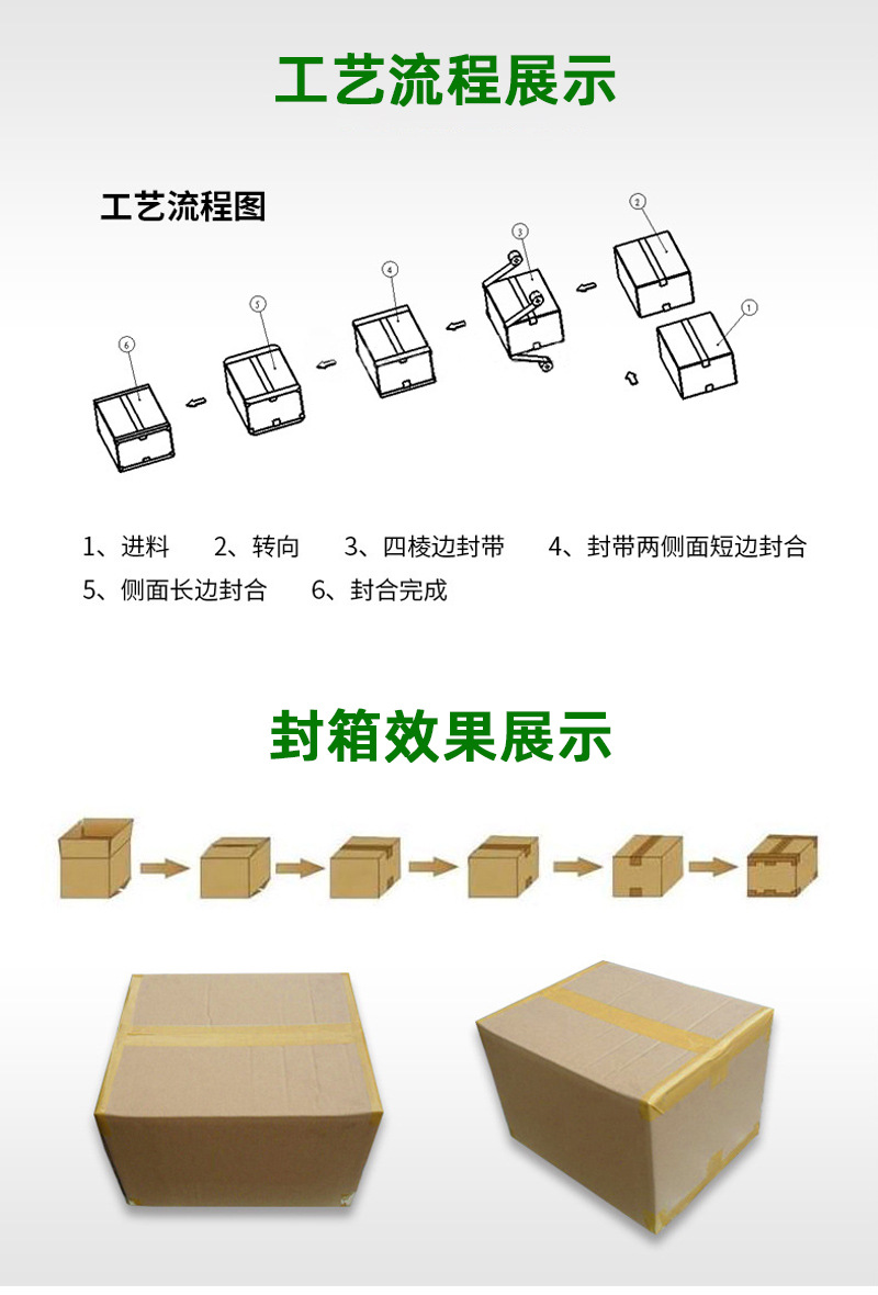
工字封箱机能够实现快速的封箱操作。与人工封箱相比,它的速度有很大的提升
发布日期:2024-12-23
特点与优势
- 高效性
- 工字封箱机能够实现快速的封箱操作。与人工封箱相比,它的速度有很大的提升。在大规模的生产包装线上,它可以在短时间内完成大量纸箱的封口任务,大大提高了包装的效率。例如,一台性能良好的工字封箱机每小时可以封箱几百个甚至上千个纸箱,这取决于纸箱的大小和封箱机的具体参数。
- 封口质量好
- 由于采用机械装置进行胶带的输送、粘贴和切断,工字封箱机能够保证封口的质量。胶带能够均匀、牢固地粘贴在纸箱上,形成规范的 “工” 字形状封口,有效防止纸箱在运输和储存过程中封口处松开。而且,通过调节压轮的压力等参数,可以适应不同类型的纸箱,确保封口的紧密性和牢固性。
- 操作简便
- 一般来说,工字封箱机的操作比较简单。操作人员只需要将纸箱放置在输送带上,启动机器,就可以自动完成封箱过程。一些先进的工字封箱机还配备了简单易懂的控制面板,通过控制面板可以调节输送带速度、压轮压力等参数,方便操作人员根据实际情况进行操作。
应用领域
- 电商物流行业
- 在电商仓库和物流中心,每天都有大量的商品需要进行包装发货。工字封箱机可以高效地对各种大小的纸箱进行封口,无论是装衣服的小纸箱,还是装家电的大纸箱,都能快速完成封箱操作,满足电商行业快速发货的需求。
- 食品饮料行业
- 对于食品饮料的包装,封口的质量至关重要。工字封箱机可以确保纸箱密封良好,防止外界因素对食品饮料的污染。例如,在饮料的整箱包装中,通过工字封箱机密封纸箱,可以有效避免在运输过程中纸箱散开,保证产品的完整性。
- 制造业
- 在制造业中,各种产品在完成生产后都需要进行包装。工字封箱机可以用于封箱各种工业产品,如电子产品、五金产品等。以电子产品为例,在包装手机、电脑等产品时,工字封箱机可以为纸箱提供牢固的封口,保护产品在运输和储存过程中不受损坏



















东莞市中堡智能科技有限公司 版权所有