欢迎访问东莞市中堡智能科技有限公司小程序!
 
        工字封箱机的封口牢固程度明显高于一字封箱机
        发布日期:2024-12-04
     
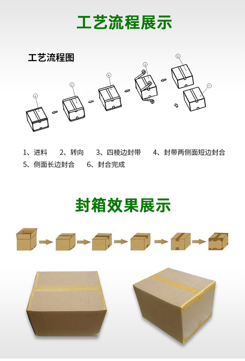
- 纸箱输送:首先,将需要封箱的纸箱放置在工字封箱机的输送带上,输送带会将纸箱平稳地传送至封箱位置13.
 - 折盖与定位:当纸箱到达指定位置后,机器的相关机构会自动将纸箱的盖子按照预设的方式进行折叠,使其准备好接受封箱操作,确保箱盖与箱体能够准确对齐13.
 - 胶带粘贴:接着,封箱机的胶带输送系统会将胶带输送到封箱头部位,封箱头通过机械装置施加一定的压力,将胶带紧密地粘贴在纸箱的上下长边以及中间位置,形成 “工” 字形状的封口,从而牢固地封闭纸箱134.
 
- 机架:作为整个封箱机的支撑结构,通常采用高强度材料制造,能够承受较大的工作负荷,保证机器在运行过程中的稳定性3.
 - 电控箱:内部配备了先进的电子控制系统,用于控制整个封箱机的运行,包括输送带的速度、封箱头的动作、胶带的输送等,确保各个部件之间能够协调工作4.
 - 输送带:负责将纸箱输送到封箱位置,其速度可以根据生产需求进行调节,并且能够适应不同尺寸的纸箱,保证纸箱在输送过程中的平稳性和准确性3.
 - 封箱头:是完成封箱作业的核心部件,它能够自动感应纸箱的到来,控制胶带的粘贴位置和力度,将胶带牢固地粘贴在纸箱上,实现高效、准确的封箱3.
 
- 多点加固:通过在纸箱的上下长边和中间位置粘贴胶带,形成 “工” 字形状的封口,这种多点加固的方式能够使纸箱的封口更加牢固,有效防止纸箱在运输过程中因受到外力撞击、挤压等而导致封口破裂,从而保护箱内物品的安全125.
 - 压力粘贴:封箱头在粘贴胶带时会施加适当的压力,使胶带与纸箱表面充分接触并紧密贴合,增加胶带与纸箱之间的摩擦力和粘附力,进一步提高封口的牢固程度3.
 
- 信号交互:工字封箱机可以与其他自动化设备,如生产线前端的装料设备、后端的码垛设备等进行信号交互。当装料完成后,相关设备会向封箱机发送启动信号,封箱机开始工作;封箱完成后,封箱机又会向后续设备发送信号,通知其进行下一步操作,从而实现整个生产流程的自动化衔接3.
 - 参数自适应:一些先进的工字封箱机具备自动识别纸箱尺寸和形状的功能,能够根据不同的纸箱规格自动调整封箱参数,如胶带长度、粘贴位置、封箱压力等,无需人工手动调整,提高了生产效率和包装质量,更好地适应了自动化生产中不同产品的包装需求13
 



















 
    
    
 
       
 
    东莞市中堡智能科技有限公司 版权所有